INTRODUCCIÓN
Durante la gestación el influjo de estrógenos y progesterona bajo control hipofisario y placentario provoca una clara hipertrofia de todos los componentes mamarios, especialmente el sistema túbulo-acinar y la producción de grasa mamaria, lo que disminuye la sensibilidad mamográfica.
Ante la sospecha de una patología mamaria benigna la técnica de elección diagnóstica será una ecografía, por su inocuidad y alta resolución en la mama densa, combinada con un estudio citológico. Por ello, el embarazo en sí nunca debe suponer un retraso en el diagnóstico de cualquier dolencia mamaria.
En nuestra serie la patología benigna más frecuente fue la inflamatoria, dato que coincide con la literatura1-4.
Hemos revisado las distintas patologías benignas del embarazo y la lactancia, así como su diagnóstico y manejo clínico.
MATERIAL Y MÉTODOS
De enero de 2001 a marzo de 2005 revisamos retrospectivamente un total de 91 pacientes con patología mamaria benigna durante el embarazo y puerperio, con un rango de edad de 23-36 años.
Todos los casos incluidos se iniciaron como tumoraciones de nueva aparición (con o sin dolor) o bien con signos inflamatorios.
Se realizó ecografía (Toshiba SSA-240 con transductor de 7,5 MHz) y citología diagnóstica con aguja fina (PAAF) (21G-Microlance España) en todos ellos, siendo necesaria la realización de biopsia percutánea con aguja gruesa automática 14G (TSK-acecut Japón) (BAG) en tres ocasiones por dudas diagnósticas.
En el caso de la patología inflamatoria ante el diagnóstico de un absceso se procedió también a su drenaje mediante PAAF (21G) o catéter pig-tail 6F, según nuestro protocolo, atendiendo a su tamaño (menor o mayor a 3 cm). En todos los casos el intervencionismo se realizó guiado con ecografía y se solicitó consentimiento informado.
Las características ecográficas estudiadas fueron: tamaño, ecogenicidad, márgenes y presencia de refuerzo o sombra acústica posterior.
RESULTADOS
De los 91 casos incluidos, en 63 (70%) la patología fue inflamatoria, de ellos 39 (62%) se diagnosticaron únicamente de mastitis, con los siguientes hallazgos ecográficos: engrosamiento de piel y tejido celular subcutáneo con disminución de la ecogenicidad del parénquima y aumento de la ecogenicidad de la grasa o presencia de dilatación de los vasos linfáticos, con o sin adenopatías axilares. En 28 (72%) de ellas se diagnosticaron en las dos primeras semanas del puerperio.
En 24 casos se detectó la presencia de abscesos (38%), predominando en su presentación ecográfica áreas de tamaño variable de ecogenicidad heterogénea con bordes irregulares, en ocasiones lobulados, con elevada vascularización en el doppler color. Diez de estos abscesos se diagnosticaron en mujeres primíparas (40%).
Realizamos el tratamiento de los abscesos menores de 3 cm con drenaje directo con PAAF guiado con ecografía, obteniendo siempre citología y cultivo (fig. 1). En caso de material muy viscoso se usó una cánula de plástico (2,0 mm). Después de drenado se realizaron seguimientos ecográficos en los 2-3 días siguientes hasta confirmar su resolución. Todo esto se combinó con tratamiento antibiótico y analgésico.
Fig. 1.--Absceso de mama. Ecografía mamaria. (A) Nódulo oval hipoecoico y homogéneo de pared gruesa y menor de 3 cm. (B) Drenaje del absceso con aguja fina. (C) Control posterior a drenaje.
Los abscesos mayores de 3 cm, siempre y cuando no fueran multitabicados, se drenaron mediante catéter pig-tail 6F con anestesia local, abriendo una pequeña incisión en la piel para facilitar la punción (fig. 2). Después se procedió al lavado con suero salino.
Fig. 2.--Absceso de mama. Ecografía mamaria. (A) Colección ecogénica, irregular con margen lobulado e inhomogénea mayor de 3 cm, con adenopatías axilares acompañantes. (B) Drenaje con catéter pig-tail. (C) Control en 7 días.
El catéter debe introducirse alejado del pezón y a través de tejido sano para evitar las fístulas5.
En 5 casos se realizó drenaje quirúrgico.
Todas las mujeres continuaron la lactancia salvo 10 que recibieron fármacos para inhibirla. Las características ecográficas se representan en la tabla 1.
En 28 casos (30%) se detectaron tumoraciones: fibroadenomas (12), adenomas de lactancia (9), galactoceles (5) y papilomas (2). Veinte de estas mujeres (77%) estaban entre la sexta y la decimoséptima semana de embarazo. Las características ecográficas se definen en la tabla 1.
El tratamiento fue conservador con seguimiento ecográfico una vez por trimestre, y sólo en el caso de un fibroadenoma fue necesario realizar cirugía en el tercer trimestre por aumento del tamaño superior a 5 cm.
En ningún caso la presencia de dichas tumoraciones afectó al embarazo o a la posterior lactancia.
DISCUSIÓN
Durante la gestación el influjo de estrógenos y progesterona bajo control hipofisario y placentario provoca una clara hipertrofia de todos los componentes mamarios.
En este período la patología benigna detectada podría dividirse en dos grandes grupos: inflamatoria y tumoral.
Patología inflamatoria
La mastitis es una complicación frecuente en el puerperio (dos primeras semanas), sobre todo en primíparas. La incidencia varía según los autores entre un 5-24%1,2. La clínica es de tumefacción acompañada de dolor, enrojecimiento, fiebre y malestar general.
Tras la sospecha clínica la ecografía ayuda al diagnóstico diferencial que debe incluir la ingurgitación mamaria, la galactoforitis y el cáncer de mama. Por ello, en caso de duda realizaremos la determinación de leucocitos y bacterias en la leche, así como la PAAF, llegándose a la biopsia percutánea si fuera necesario. La mayoría de ellas cede con medidas locales de vaciamiento y tratamiento antibiótico y analgésico.
Una mastitis, especialmente si no está bien tratada, puede evolucionar a un absceso3,4, que se acompaña de destrucción glandular, formándose cavidades anfractuosas de contenido purulento. En este caso su confirmación diagnóstica es ecográfica.
El germen más frecuente es el Staphilococcus aureus, ya que produce usualmente ß-lactamasas que lo hacen resistente a penicilinas. Dicho germen probablemente entre por los conductos galactóforos del pezón4,6.
Tradicionalmente el tratamiento de los abscesos es con incisión y drenaje quirúrgico7,8.
En contraposición a esto, y basándonos en la experiencia de otros autores9-11, decidimos realizar el tratamiento de los abscesos menores de 3 cm con drenaje directo con PAAF guiado con ecografía, realizando siempre citología y cultivo (fig. 1). Después de drenado se realizan seguimientos ecográficos en los 2-3 días siguientes hasta confirmar su resolución. Todo esto se combina con tratamiento antibiótico y analgésico. Los abscesos mayores de 3 cm, siempre y cuando no fueran multitabicados, se drenaron mediante catéter pig-tail 6F (fig. 2). Aplicando estas medidas la evolución clínica fue satisfactoria en todos los casos, y el resultado estético mejor que con el drenaje quirúrgico, aspecto ya demostrado en la literatura5,12,13.
En lo que se refiere a la lactancia, la paciente puede continuar con la mama sana y seguir las mismas medidas locales que en la mastitis.
Patología tumoral
Los nódulos mamarios son frecuentes en esta etapa por el estímulo hormonal al que la mama se ve sometida. El objetivo principal es un buen diagnóstico ecográfico y citológico, ya que un nódulo benigno no provoca ninguna alteración en la madre, el niño o la posterior lactancia114-22. Precisamente por esto, no existe ningún motivo para extirparlos y consideramos correcta una actitud conservadora con seguimiento estrecho, realizando una ecografía por trimestre de embarazo, al igual que opinan otros autores14,15.
Si un nódulo ya diagnosticado previamente al embarazo sufre cambios durante el mismo se procederá a realizar PAAF y posteriores controles estrechos, adoptando igualmente una actitud conservadora, salvo que el tamaño que adquiera dicha tumoración requiera su extirpación.
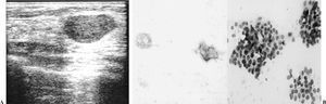
El fibroadenoma fue la tumoración más frecuente en nuestro estudio y ecográficamente se presentó como nódulos ecogénicos homogéneos con márgenes definidos, alguno de ellos lobulado, y que a diferencia de los fibroadenomas en mujeres no embarazadas presenta una gran proliferación glandular o adenomatosa del nódulo, con abundante estroma fibroso y cambios secretores (fig. 3).
Fig. 3.--Fibroadenoma. Ecografía mamaria. (A) Nódulo ecogénico y homogéneo con margen definido. (B) Hematoxilina x20-x40. Célula típica con abundante estroma con cambios secretores.
El adenoma de la lactancia es un tumor de origen incierto; algunos autores sostienen que son adenomas tubulares preexistentes en los que el estímulo hormonal del embarazo ocasiona actividad secretora18, otros sostienen que son zonas de adenoma tubular dentro de un fibroadenoma19. Suelen aparecer de manera brusca y aumentar en el tercer trimestre del embarazo, por lo que el término «de lactancia» induce a error, ya que no se diagnostican únicamente en el puerperio.
El aspecto ecográfico más frecuentemente descrito en la literatura es el de un nódulo hipoecoico con respecto al tejido glandular circundante y homogéneo con refuerzo acústico posterior con o sin lobulación18. No obstante, nosotros tuvimos tres casos de nódulos isoecoicos, heterogéneos e incluso uno de ellos con áreas con sombra acústica posterior (fig. 4), probablemente porque un 5% de los adenomas de la lactancia exhiben zonas de infarto, lo que puede tener traducción en la imagen.
Fig. 4.--Adenoma de lactancia. Ecografía mamaria. (A) Nódulo ligeramente hipoecoico y homogéneo con refuerzo posterior. (B) Hematoxilina x40 células monomorfas dispuestas en lobulillos. (C) Nódulo isoecoico, heterogéneo con septos y áreas con sombra acústica posterior. (D) Cilindro de BAG. Hematoxilina x20. Cambios secretores con células monoformas en lobulillos.
Los aspirados del adenoma de la lactancia suelen ser muy celulares, con grupos de células monomorfas dispuestas en lobulillos o de forma irregular, que presentan células mioepiteliales en la periferia. El citoplasma es granular vacuolado, aunque pueden existir núcleos desnudos. Una característica importante es la presencia en el fondo del material proteináceo de PAS positivo14.
El diagnóstico diferencial se realiza con el fibroadenoma con cambios gestacionales, donde además se observa un estroma fibroso y hay menor cantidad de material proteináceo.
Normalmente involucionan, por lo que no se realiza cirugía salvo que su tamaño e impronta en la piel lo requieran19.
Los galactoceles son tumoraciones benignas de la mama lactante, probablemente por obstrucción de los conductos.
Ecográficamente son lesiones solitarias hipoecoicas con pared fina y refuerzo posterior20,21 (fig. 5).
Fig. 5.--Galactocele. Ecografía mamaria. (A) Nódulo hipoecoico y homogéneo. Drenaje del mismo. (B) Nódulo heterogéneo de ecogenicidad mixta por su contenido proteináceo.
Su apariencia interna puede variar desde homogénea a heterogénea atendiendo a la composición de su contenido, que varía según su proporción de grasas, restos de células epiteliales descamadas, proteínas, etc.
Hay que hacer el diagnóstico diferencial con el quiste simple y complicado.
La aspiración del material lácteo nos ofrece el diagnóstico.
Para concluir, mencionar que la forma de presentación más frecuente de un papiloma es la telorragia, ya que los papilomas intracanaliculares sufren también la reacción proliferativa de las células ductales a consecuencia del estímulo hormonal aumentando su volumen, por lo que sangran con relativa facilidad.
En el caso de que una mujer hubiese sido sometida a una sección o ligadura de conductos galactóforos antes del embarazo por un tumor papilar, se le debe de inhibir la subida de leche.
Declaración de conflicto de intereses.
Declaramos no tener ningún conflicto de intereses.
Correspondencia:
CRISTINA ROMERO. Servicio de Radiología. Hospital Virgen de la Salud. Avda. de Barber, s/n. 45004 Toledo. España. cromero@sescam.jccm.es
Recibido: 5-X-05
Aceptado: 26-IX-06










